
Фото: Дмитрий Абрамов / MR7
Комитет по градостроительству и архитектуре (КГА) 30 сентября опубликовал распоряжение о подготовке проекта планировки и проекта межевания территории для размещения линейных объектов регионального значения на улице Ломоносова от набережной канала Грибоедова до Садовой улицы, Думской улице, Перинной линии.
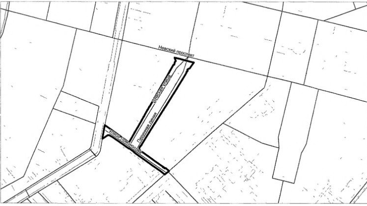
Фактически это означает, что Думскую улицу и Перинную линию уже официально планируют сделать пешеходными.
Согласно техзаданию, Думская улица и Перинная линия будут проектироваться как пешеходные, улица Ломоносова от Садовой улицы до набережной канала Грибоедова будет магистральной улицей районного значения.

Схема: КГА Петербурга
Подготовку документации по планировке территории компания АО «Ильич Плюс» профинансирует за счет собственных средств. Согласно открытым источникам, компания «Ильич Плюс» занимается управлением недвижимостью и среди прочего сдает в аренду помещения в здании на Думской улице, 4, которое известно как «Перинные ряды».
Распоряжение действует до 17 сентября 2026 года. При этом до 17 декабря 2025 года В КГА можно отправлять предложения о «порядке, сроках подготовки и содержании проекта планировки и межевания территории».
В июле сообщалось, что проект нового общественного пространства на пересечении Думской улицы и улицы Ломоносова должен быть готов не позднее конца нынешнего года. В 2026 году, по задумке чиновников, должны начаться работы на местности.
Еще два года назад в Смольном говорили о планах сделать на улицах Думской и Ломоносова пешеходную зону для семейного отдыха.
Бары и клубы на Думской и Ломоносова были массово закрыты в 2023 году решением властей после многочисленных жалоб, скандалов, а также уголовных дел. Осенью того же года Смольный анонсировал создание на этом месте пешеходной зоны для семейного отдыха. Чуть раньше от официальных лиц звучала идея организовать некую культурно-гастрономическую площадку по аналогии с Василеостровским рынком и пространством Vokzal 1853.