
Схема: КГА
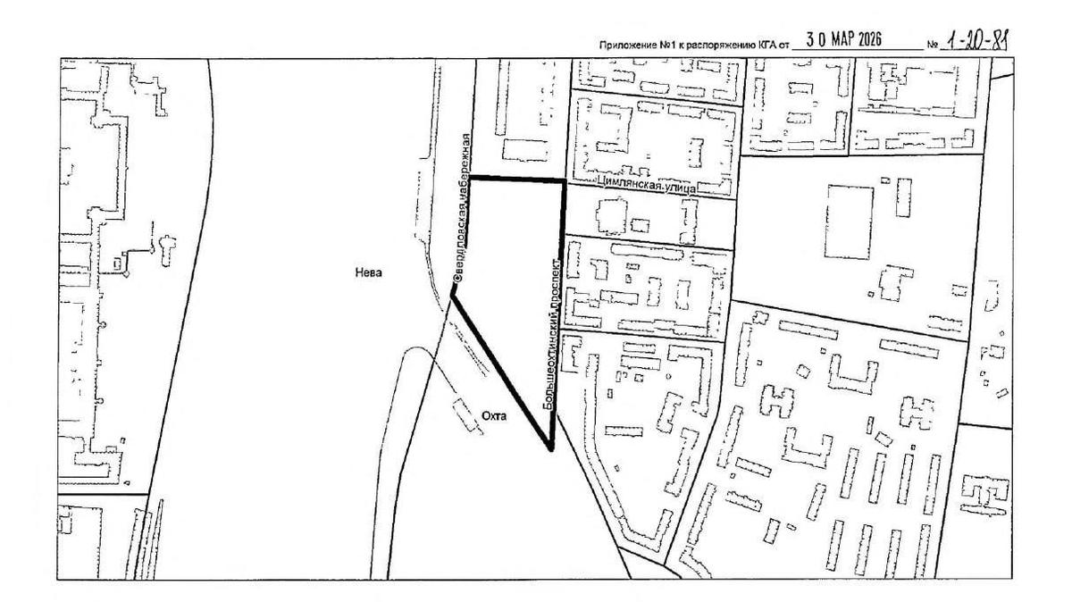
Между Большеохтинским проспектом, Свердловской набережной и гостиницей «Охтинская» разместят экспозицию петербургского музея археологии. Об этом 1 апреля сообщили в пресс-службе Смольного.
Музей создается по поручению президента России Владимира Путина в качестве площадки для экспонирования находок, обнаруженных при археологических раскопках в городе, в том числе на Охтинского мысе.
Экспозиция музея будет посвящена ключевым событиям начала XVIII века: освобождению невских берегов войсками Петра I, осаде шведской крепости Ниеншанц, а также основанию Петропавловской крепости и истории крепости Орешек.
На территории Охтинского мыса, который находится напротив Свердловской набережной, ещё в 2006-2010 годах археологи нашли остатки рвов, а также слои эпохи неолита и раннего Средневековья. Здесь располагались две шведские крепости: возведенная в 1300 году Ландскрона и сооруженный поверх старых укреплений в XVI веке Ниеншанц.
Большей частью территорий Охтинского мыса владеет «Газпром» — в 2010-х компания планировала возвести здесь небоскрёб, однако после общественного резонанса строительство перенесли в Приморский район. При этом владельцем участка по-прежнему остаётся госкорпорация — после того, как осенью 2022-го компания объявила о переезде в Петербург, её дочерняя компания «Газпром Лахта» получила разрешение на застройку Охтинского мыса. Ранее — в 2021-м Путин советовал активистам обсудить с владельцем участка варианты решения проблемы и найти компромисс и называл интересно идею археологического парка на Охтинском мысе.
В середине января 2023 года на мысе появились строительные бытовки, а вскоре к работам приступили экскаваторы.
Губернатор Александр Беглов подчеркнул, что объект должен органично вписываться в сложившийся городской ансамбль и стать новой достопримечательностью.
Подготовку изменений проекта планировки территории занимается НИПЦ Генплана. Подготовить проект планируют до конца 2026 года.
Ранее территорию рассматривали как место для строительства Судебного квартала. Но его в итоге строят на Тучковом буяне, где горожанам обещали парк.
Затем жители просили приспособить пространство на набережной у Охты под рекреационную зону и не застраивать. На заседании ЗакСа в марте на набережной предлагали поставить колесо обозрения.