
Продолжение Приморского проспекта будет огибать ЖК «Золотая Гавань». Фото: «Яндекс.Карты»
Комитет по градостроительству и архитектуре (КГА) опубликовал распоряжения о подготовке проекта планировки (ППТ) и межевания территории для продолжения сразу двух дорог в Приморском районе, следует из базы данных Смольного.
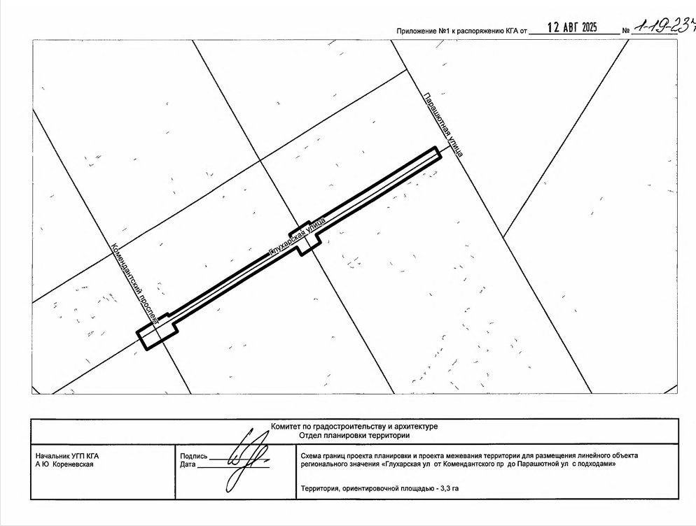
Речь идёт об строительстве участка Глухарской улицы, который должен будет соединить Комендантский проспект, проспект Королёва и Парашютную улицу, а также о строительстве участка Приморского проспекта от Яхтенной улицы до улицы Савушкина.
Скриншот постановления о разработке ППТ для Глухарской улицы / КГА
Срок подготовки документов для каждой из магистралей — 19 августа 2026 года. В случае с Глухарской улицей инициатором подготовки ППТ была «Дирекция транспортного строительства», в случае с Приморским проспектом — ООО «ПЛГ».
Планируется, что на Глухарской улице будет располагаться от четырёх до шести полос, на Приморском проспекте будет только четыре полосы, а также тротуары в 2,25 метра.

